[wonderplugin_slider id=57] < Previous Entry Next Entry >
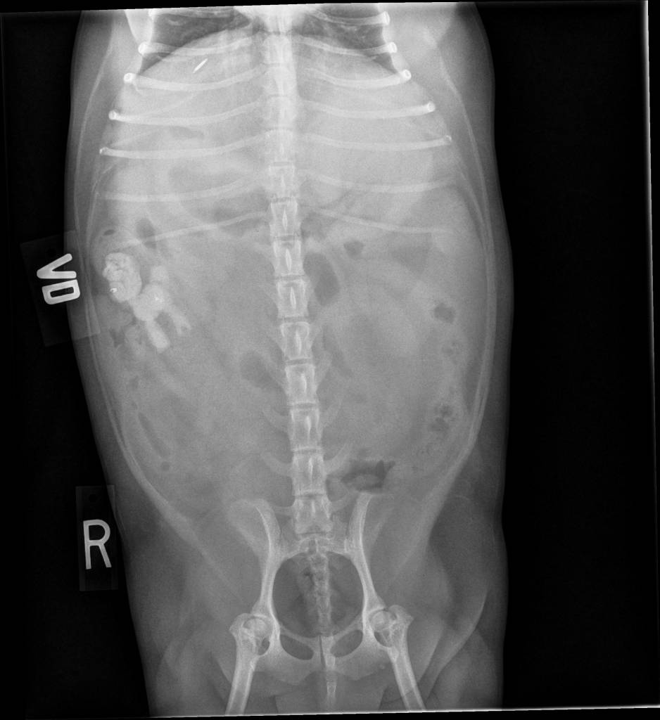
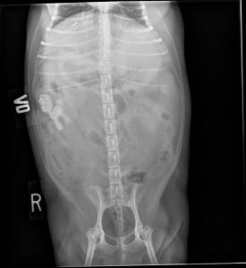
They Ate What?! X-ray Contest 2018They ate this: Check out the winner, runners-up, and honorable mentions October 1, 2018 < Previous Entry Next Entry > Pages: 1 2 3 4 5 6 7 8 9 10 11 12 13 14
SponsoredTake Control With ProHeart 12 (moxidectin)One dose offers year-long protection with a single injection, putting compliance in your hands. + Learn more
SponsoredHill's Prescription Diet Metabolic Weight + j/dNutrition to help mobility in as little as 1 month. 88% of pets lost weight in 2 months at home with Metabolic nutrition. + Learn More
My Kai, beagle, started eating mulch in our yard. Just one spot. We had to place lattice all around yard and deck to keep him from eating. No surgery but 3 day hospital stay. Log in to Reply
I think the dog that ate the quarters or the one that ate the whole towel was more amazing than the boot! Log in to Reply
SponsoredWhere unique needs meet innovative scienceFind precise, innovative solutions for your patients’ unique needs + Learn More